Beamline Layout

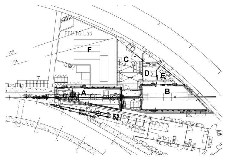
Figure 1 shows a schematic illustration of the microXAS beamline. Besides the Pb shielded hutches (optical (A) and experimental hutch (B)) the drawing shows the outline of the control hutch (C-E) and the FEMTO laboratory (F). The experimental hutch (B) will be equipped with two optical benches. The first bench will host measurements, which do not necessarily require a micro-beam (e.g., FEMTO and in-situ studies). The second optical bench is hosting the KB mirror pair and is dedicated to micro beam applications. The beamline will be equipped with precise motorized sample stages (translations: x, y, z; rotations: pitch, yaw, roll), which should allow – in addition to microXAS and XRF-mapping – for techniques such as Gracing-Incidence X-ray Absorption

Figure 1: Installation of microXAS mirror tank.

Fine Structure (GI-XAFS), x-ray reflectivity, and (rudimentary) micro-diffraction. It is foreseen that a motorized optical microscope and a CCD camera will be available for beam monitoring and sample alignment. Detector systems available in a first phase are photodiodes or ion-chambers for transmission experiments and a multi-element Ge solid-state detector and a Stern-Heald detector system for measurements in fluorescence and electron-yield mode, respectively. The control hutch consists of a control room (C), a small laboratory for sample preparation procedures and the preparation of in-situ experiments (D), and a small room offering working space for users (E). As far as possible, the surveillance and operation of the entire microXAS station is be done from the control room. There will be a series of computers and screens that will display information on the beamline status (e.g., positions of motors, valves, gauges) and real time camera images from components in the optical and experimental hutch. The FEMTO laboratory (F) is built adjacent to the control room. It is equipped with optical tables hosting lasers, amplifiers, oscillators and diagnostic tools. Because the lab is supposed to act as a main future laser lab at PSI, the lab should be available anytime for laser experiments from different PSI divisions.